General Discussion
Related: Editorials & Other Articles, Issue Forums, Alliance Forums, Region ForumsBREAKING: Another near collision on a runway in Chicago.
Flying is very dangerous under trump.
https://www.nbcchicago.com/news/local/shocking-video-shows-near-miss-between-southwest-airlines-flight-jet-on-runway-at-midway-airport/3682589/
SheltieLover
(81,709 posts)If I can't drive or float to wherever it is, I will not go.
Beachnutt
(8,944 posts)No flying for me at least until these fools are out of office.
SheltieLover
(81,709 posts)nitpicked
(1,969 posts)Famously took trains and any other means rather than flying.
SheltieLover
(81,709 posts)I used to enjoy flying, did a lot when younger as my brother was a private pilot.
Not with these fools running things into the ground for pootin & Boeing's sh8ft from quality to greed.
Ocelot II
(131,220 posts)I was a general aviation flight instructor for years, and I also worked at a major airline until I retired. Safety procedures and FAA compliance were strictly enforced, and I'm sure the airlines are still emphasizing safety, since nobody wants a crash. But if the rabid DOGE is cutting FAA staff, more accidents are inevitable. Airlines follow FAA regulations as to flight operations and maintenance, but if they aren't getting guidance or oversight, shit will happen. It always does, even if nobody is intentionally cutting corners. And there's already a shortage of air traffic controllers, which is the scariest aspect of it all. TCAS is great but it's no substitute for the radar and eyeballs of ATC, whose planning keeps pilots from having to rely on TCAS except in the rarest circumstances. TCAS avoidance maneuvers have their own hazards. I don't want to fly any more either.
markodochartaigh
(5,545 posts)Of course using similar logic the Trump voters could be said to deserve what they are getting.
"If God didn't want them sheared why did he make them sheep?"
erronis
(24,529 posts)It isn't just the trmp shit-show. My animosity to airlines started 20+ years ago and the "security apparatus" exacerbated a bad situation.
I hate airports now. I hate parking.
I hate being treated as cattle.
I hate the deregulation which allowed horrible price gouging.
I hate the lack of transparency on pricing.
I hate the discomfort as seats are moved closer and closer so the first-class can spread their flabby butts.
I like the personnel who try to make it better but I hate the management/companies who want to make more $$$$$.
SheltieLover
(81,709 posts)But agree 100% with all you've said.
slightlv
(7,943 posts)After 9/11, I had a flight planned to a conference in Florida. I was still planning on going (this was before they grounded everything) but my family begged me to stay off planes.
And then we got the TSA. I was working at the time, and figured I was being treated like a child in so many aspects of my life, I didn't need one more. When they started making everyone take off their shoes, that was the last straw. It's not safety to me, it's performance art and a jobs program.
Today, I have so much metal in my body that I set off alarms walking INTO a store. No way would I even attempt to get on a plane these days! And it's too bad... as a younger person, I enjoyed flying. People dressed up, were on their best behavior, you could look forward to an interesting meal, and you felt like you were treated special. Nowdays... not so much.
Prairie Gates
(8,477 posts)It was extremely unnerving.
The pilots of the Southwest airlines flight saved the day right there. What the fuck was that little plane doing?
Demobrat
(10,310 posts)where the landing had to be aborted because of the wind. Lots of screaming on that flight.
nitpicked
(1,969 posts)Passages
(4,493 posts)rustysgurl
(1,098 posts)I am driving ... I don't care how long it takes and how many hotels I have to stay in. I'm not trusting my life 30,000 feet in the air (or on the ground) to the current airline transportation system. My brother-in-law works for the FAA (ground maintenance supervisor) and he doesn't fly ANYWHERE. So telling.
And just like that, lack of passengers = airline profits plummeting = stock prices plummeting = airline employee layoffs and airlines going under = SO MUCH WINNING!
Maru Kitteh
(32,010 posts)Dont know where you are coming from but Montana, well, its big. Depending on where youre coming from and going to I might have a tip or two to make your trip more pleasant. Maybe. Some parts of Montana I know next to nothing about.
rustysgurl
(1,098 posts)I'll be in the Billings area toward the end of June.
Maru Kitteh
(32,010 posts)There is no bad place to be in Montana in late June. Anywhere you drive from the plains to Glacier Country will be breathtaking. Enjoy, and safe travels.
bdamomma
(69,629 posts)And just like that, lack of passengers = airline profits plummeting = stock prices plummeting = airline employee layoffs and airlines going under = SO MUCH WINNING!
That is what exactly will happen. Airline executives will not be happy. This will affect many flight passengers not only flight passengers in the US but other countries too.
The US is a needed hub to other parts of the world. Many of us do not have private jets!!!
boonecreek
(1,555 posts)Just glad that Southwest pilot was alert.
LudwigPastorius
(15,001 posts)There is plenty of audio posted on YouTube of pilots either oblivious to, or intentionally ignoring, ATC commands.
Hassin Bin Sober
(27,495 posts)Victor at vas aviation is quick these days
Maru Kitteh
(32,010 posts)Howd that happen is pilot for WHAT THE FUCK ARE YOU GUYS DOING OVER THERE! and as a professional I understand keeping ones comportment in a storm and then having your emotions later but WOW.
Ocelot II
(131,220 posts)It's a regular thing during simulator training. They wouldn't have been happy about it but they didn't freak out. The crew on the ground that crossed the runway when they were told to hold short would have been pretty rattled, though, when they saw the Southwest plane fly over them, and then when they were told to call the tower. No pilot wants to make that phone call.
Ocelot II
(131,220 posts)ATC told him twice to hold short at 31C; the first time he got it wrong but the second time he even read it back correctly and crossed 31C anyhow. I'm guessing there was some kind of distraction or work overload. Even so, MDW is a goat rodeo - too much traffic for an airport that small and with that many runways.
LeftInTX
(34,852 posts)Lovie777
(23,722 posts)Emile
(43,257 posts)Lonestarblue
(13,560 posts)Ocelot II
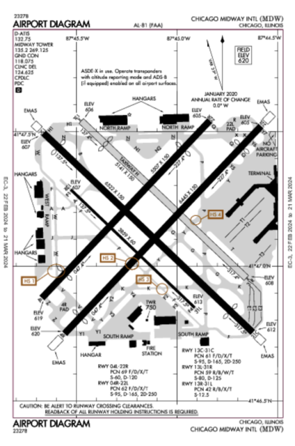
(131,220 posts)the runways are short and there are lots of locations for possible runway incursions. It became an overflow airport for ORD but it really should service only general aviation. The colored circles on this chart are labeled "HS," which means "hot spot," to warn pilots to be especially careful when crossing at these points. I'd be interested to know exactly where this incident occurred and whether it was at a hot spot, but somebody's ass will be in a sling for sure - that is, assuming the FAA will have anybody left to deal with the problem after the rabid DOGE is done with it.

erronis
(24,529 posts)I'm sure as we zoom into all the interactions at the physical level, 24 hours a day it becomes much more complex.
Hassin Bin Sober
(27,495 posts)LeftInTX
(34,852 posts)We thought we would save money. The car rental was a huge rip off. They tried billing us in km instead of miles, which was double. (50 miles was billed as 100 miles)
Hubby pointed it out. They said, "It's all the same"
Never again.
They really didn't want us there.
I did not fly SW again until 2024. As to why they chose Midway instead of O'Hare is beyond me
Ocelot II
(131,220 posts)Now they are the dominant airline at MDW, which is a good deal for them.
Blue Owl
(59,619 posts)Like when tRump's own goddamned "Trump Shuttle Inc" airline went bankrupt in 1992, for example....
Pull_Left
(54 posts)To be put into context, "near-miss" were at record levels in 2023 (1,700) and in 2024 with over 1,100 incidences in the US - out of 54 million flights.
The fault this time is with one person - the pilot of the private jet who didn't listen to ground control and placed a hundred people in jeopardy.
Not that it won't get worse with the tinkering by the aristocrats (or rather the aristocats)
https://airguide.info/faa-reports-1100-runway-near-misses-in-2024-showing-improvement-from-2023/
AllyCat
(18,988 posts)Thank you for your comment. Interesting indeed.
Pull_Left
(54 posts)Been a looong time first go-to for news
moonbeam23
(422 posts)we are BILLIONAIRES!
Midway is always a nightmare...has been for 40 years, at least.
Whose bright idea was it to put strip malls right next to the runways?
erronis
(24,529 posts)Look at rental car agencies for example.
flashman13
(2,563 posts)Damned good flying by the SW pilots. Those big commercial jets have very impressive capabilities in an emergency situation.
RJ-MacReady
(603 posts)Democrats should be out there every single day blaming all of this on trump, if the roles were reversed they would be! It doesn't matter if its not entirely accurate. We need to stop worrying about that right now. Winning and stopping trump is priority. No more going high, period. When they go low kick them in the teeth.
Pachamama
(17,565 posts)Thankfully the pilots on Southwest were able to respond in time and pull up and abort landing on that plane
Initech
(109,263 posts)Fuck Elon, Trump, and Charlie Kirk. I hope they answer to Satan.
Beachnutt
(8,944 posts)what almost happened and why.
AllyCat
(18,988 posts)Unreal.
erronis
(24,529 posts)Oh, it's ok. He's not a pilot, he's a false-newscaster.
Well, now he's in "charge" of the nation's Department of Defense. What could possibly go wrong?
Right, Pete? Hic.
Aviation Pro
(15,763 posts)Challenger 350 was told to hold short of 31C after crossing 31L and didnt.
Disaffected
(6,568 posts)It is perverse to blame this on anyone but the 350 pilot.
yellowcanine
(36,826 posts)Planes should not be so close on runways that one mistake by a pilot results in a near collision.
Aviation Pro
(15,763 posts).
Disaffected
(6,568 posts)Having planes hold short of a cleared for takeoff or landing runway is pretty much SOP is it not?
What procedure did the tower not perform properly?
I expect in general aviation there are a myriad of instances where one mistake by a pilot could result in an accident.
In any case, blaming this incident on deficiencies in the administration or FAA seems quite a stretch (unless we want to act like Republicans).
Ocelot II
(131,220 posts)and the pilot of the small jet got them wrong the first time, ATC repeated them, and the second time the pilot repeated the instruction correctly but crossed 31C anyhow, Clear pilot error, ATC not to blame.
helpisontheway
(5,388 posts)We can go anytime. However, my mom would be absolutely devastated if we canceled the trip. It will be her first time overseas. And will likely be her only chance. Praying for a safe trip
bdamomma
(69,629 posts)why people are reluctant and extremely cautious about these recent air accidents.
I have recently read an article about Boston Logan Airport and their safety measures. The people contacted and interviewed were Massport Fire Chief, Chief Security Officer, and the Deputy Director of Aviation. All fears were eased by their report.
I wonder if there's a reference of who to call to answer passenger flight concerns.
IronLionZion
(51,550 posts)Grocery prices are still going up. The main thing going down in the Trump administration are planes. Musk will fire more ATCs and FAA officials for "performance" and "DEI".
usaf-vet
(7,859 posts)You and they will not always have the luxury of flying on private jets. That Southwest pilot likely saved the lives of passengers on his plane and the small jet.
yellowcanine
(36,826 posts)Tired air traffic controllers working too many shifts and too much multi-tasking.
Disaffected
(6,568 posts)not ATC.
Vogon_Glory
(10,353 posts)If afterwards Elons move fast and break things philosophy is putting the lives and safety of thousands of American air travelers at risk.
Ocelot II
(131,220 posts)extensive pilot training and improved taxiway/runway signage and lighting. Some larger airports have advanced airport surveillance technology. The FAA has been installing new systems, https://www.faa.gov/newsroom/faa-install-new-runway-safety-technology, but how much do you wanna bet DOGE will kill that off, too?
Kick in to the DU tip jar?
This week we're running a special pop-up mini fund drive. From Monday through Friday we're going ad-free for all registered members, and we're asking you to kick in to the DU tip jar to support the site and keep us financially healthy.
As a bonus, making a contribution will allow you to leave kudos for another DU member, and at the end of the week we'll recognize the DUers who you think make this community great.